V. Sierra esq. Santa Coloma
U$S 105.000
Tipo de operación
Venta
Ubicación
Hostal del Sol, Rosario
Superficie
1000 m2
Tipo de propiedad
Terrenos
Terreno en Hostal del Sol
Descripción
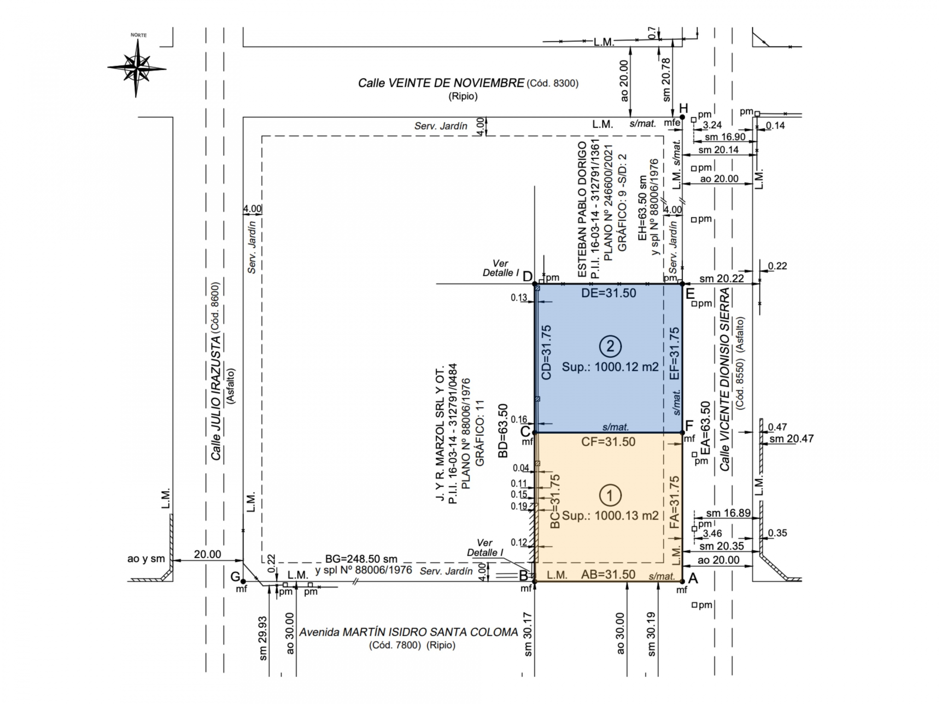
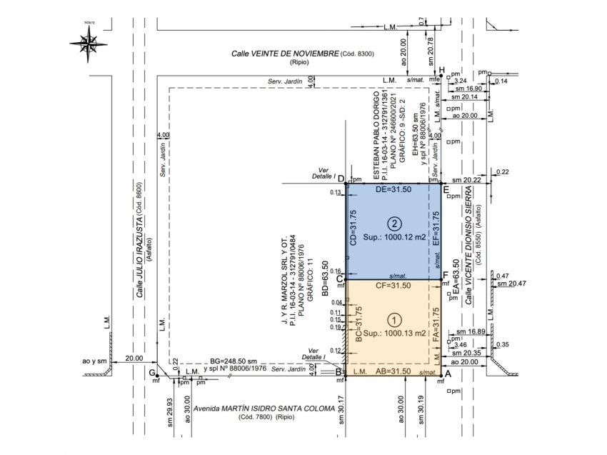
El predio se encuentran en una zona de muy acelerado crecimiento demográfico, en una ubicación inmejorable, a solo tres cuadras de la Av. Jorge Newbery. Disponible para la venta un lote.
TERRENO 2
Ubicado sobre V. Sierra
Superficie terreno 2: 1000,12 m2
Dimensiones aproximadas: 31,5 m (fondo) x 31,75 m (frente sobre V. Sierra)
USD 105.000
Dimensiones aproximadas: 31,5 m (fondo) x 31,75 m (frente sobre V. Sierra)
USD 105.000
Ubicación
Hostal del Sol, Rosario



